The Saline County Planning Board will meet on Thursday, March 10th at 5:30 p.m. at the Saline County Courthouse, upstairs in Courtroom #1. Board members will discuss several residential and commercial development items, including a possible new location for a combination Family Dollar and Dollar Tree store. The agenda and documents follow:
ROLL CALL:
- Layne Penfield, Chairman
- Matt Nalley
- Randy Ives
- Sherry Spann
- Kevin Barham
- Eric Krebs
- Justin McCauley
- Kylie Parker
NON-VOTING:
- John Wofford-Saline County Engineer
- Cayce Landers-Saline County Road Department
- JR Walters-Quorum Court
- Will Gruber-Saline County Attorney
- Karla Ramsey-Planning Board Staff
PRESENTATION OF MINUTES: January 13, 2021
OLD BUSINESS:
NEW BUSINESS:
• FOSSIL ESTATES – JONATHAN HOPE – West side of Nickel Bill James Rd
• GLENWOOD SPRINGS REPLAT LOT 43r – DONNIE HOLLAND – Glenwood Springs Drive
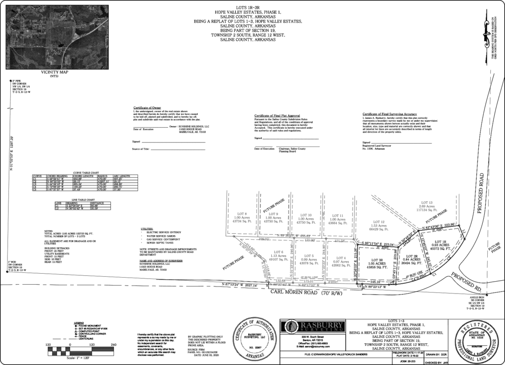
• HOPE VALLEY ESTATES REPLAT LOTS 1R-3R – AARON RASBURRY – Hwy 167 & Carl Moren Rd
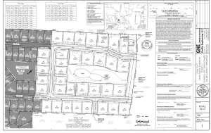
• HOPE VALLEY ESTATES PH 2/PRELIM/FINAL – AARON RASBURRY – Hwy 167 & Carl Moren Rd
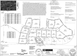
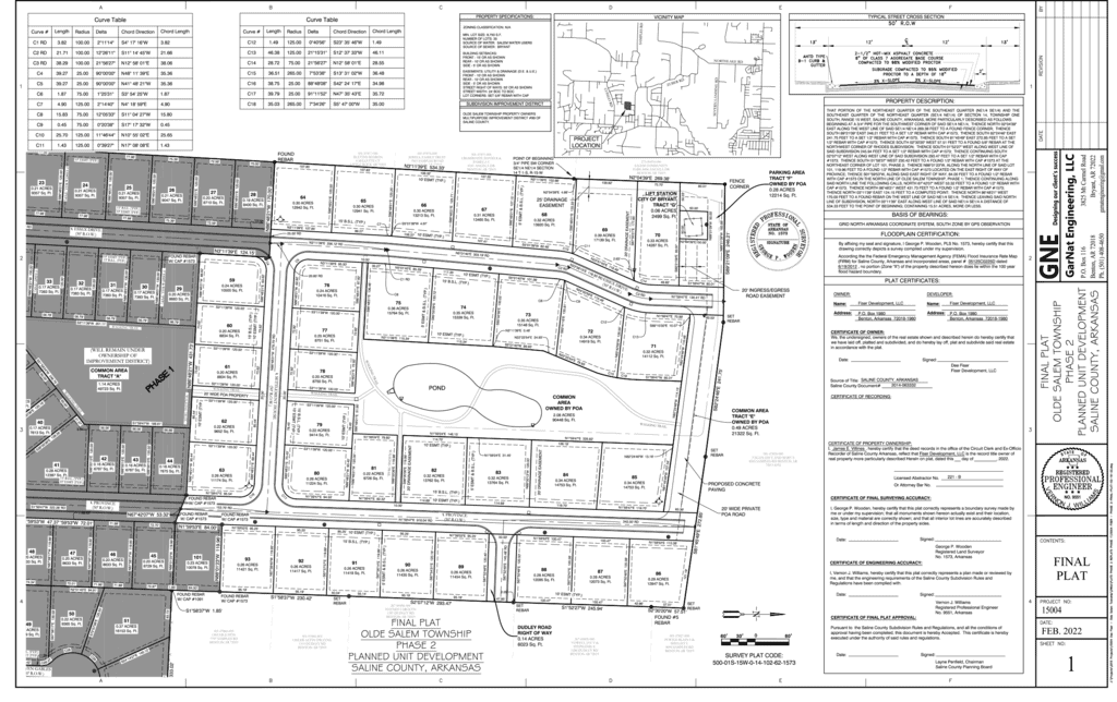
• OLDE SALEM TOWNSHIP-PH2 – VERNON WILLIAMS – Samples Rd & Couch
• THREE CORNER ACRES – BYRON HICKS – S. Springlake Rd & Three Corners Rd, Hensley
• MOUNTAIN PINE ESTATES – BEAR DAVIDSON – Hobby Lane off Chicot Rd
• SARDIS FAMILY DOLLAR TREE – JASON HOBICK – N. Sardis Rd, Bauxite. Read more about this project at https://www.mysaline.com/saline-county-planning-board-03102022/
• HWY 5 CROWSON PROPERTY -WILL GRUBER
OPEN DISCUSSION:
ADJOURN
For more information on events visit www.mysaline.com/events









